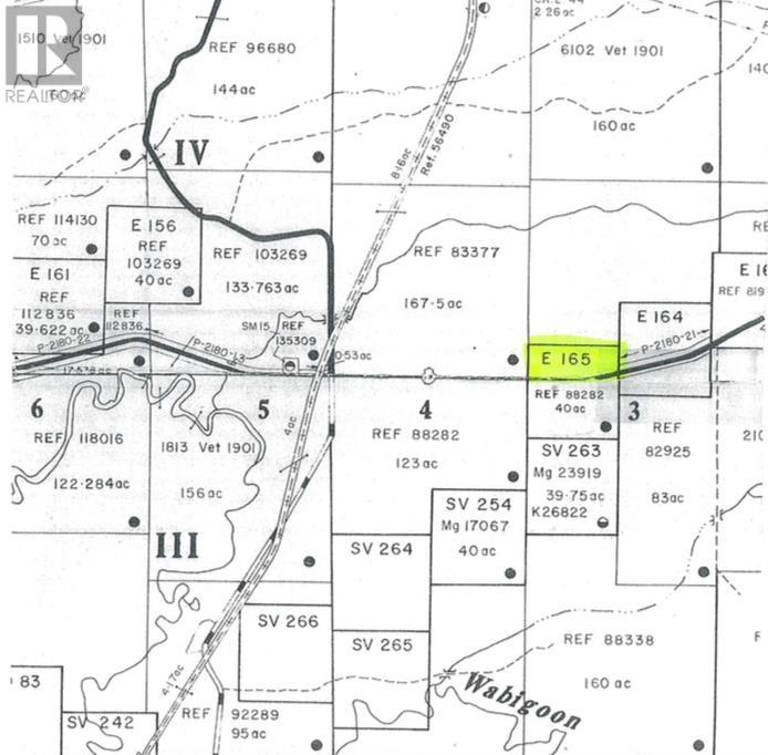
Pin #420950063 HWY 17
📍 Melgund, Ontario, Canada, P0V1P0, 1582, 82, P0V1P0
56900.00
8
Lot Size
Land Description
Located 1 km east of Borups Corners, between Dryden and Ignace; accessed directly off of Highway 17. This 8.94-acre parcel of partly forested land offers a great opportunity to escape into nature. Whether you’re looking for the possibility to build your dream home or a recreational getaway, this property is ideal. Crown land abuts to the north and east (WMU 5). (id:62692)









