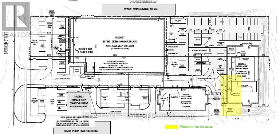
CAR LOT/OFFICE – 535 BAYFIELD STREET
📍 535 Bayfield Street, Barrie (Bayfield), Ontario, Canada, L4M4Z9, 1462, 82, L4M4Z9
300
Total Sq Ft
Retail Description
300 s.f. Space available for small office for car dealer or car rental business in the building at 535 Bayfield Street plus reserved parking area at the back of the building for cars – ideal for car rental or new or used car sales office and parking. (id:62692)


