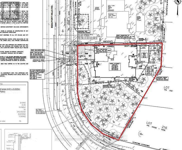
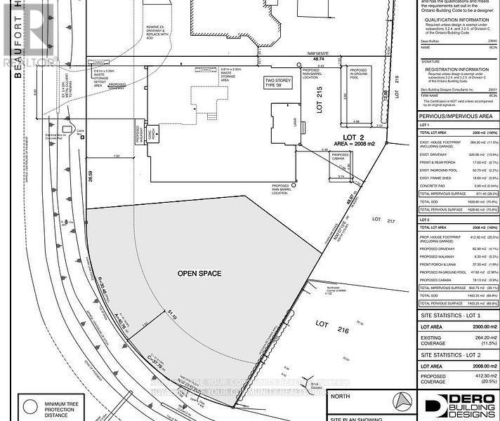
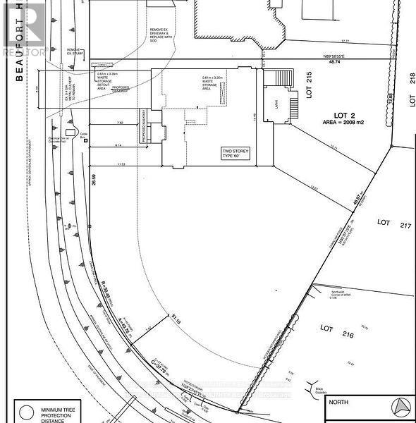
52A BEAUFORT HILLS ROAD
📍 52A Beaufort Hills Road, Richmond Hill (Oak Ridges), Ontario, Canada, L4E2N1, 562, 82, L4E2N1
1488800.00
0
Lot Size
Land Description
Attention builders, developers, and end-users, Welcome to 52A Beaufort Hills! This stunning mature lot, measuring a generous 167×157 ft, is now available for you to create your dream home. Located on the most desirable street in Oakridge’s, this fully serviced lot offers an exceptional opportunity for anyone looking to build a home in a prime location. Nestled in a charming cul-de-sac, the severance has been approved by the City of Richmond Hill. As a seller, we are committed to providing a new PIN and registering the lot with all services paid, ensuring a smooth and hassle-free process for you. This incredible lot is sure to attract a lot of interest, so don’t miss out on the chance to make your dream home a reality. Secure your place in this fantastic community today! (id:62692)



