49 MAIN ST. SOUTH

  • 2 months ago
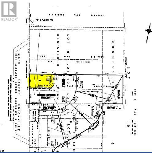
Vacant LandOntarioMarkham (Unionville)L3P1L249 Main St. South, Markham (Unionville), Ontario, Canada, L3P1L2

49 Main St. South, Markham (Unionville), Ontario, Canada, L3P1L2

49 Main St. South, Markham (Unionville), Ontario, Canada, L3P1L2

Basics

  • Date added: Added 2 months ago
  • Category:
  • Bathrooms: 0
  • Lot size: 0 sq ft
  • SubdivisionName: Unionville
  • ListOfficeName: CENTURY 21 LEADING EDGE REALTY INC.
  • MLS ID: N12673906

Description

  • Description:

    Calling all builders and investors! Don't miss this exceptional opportunity to acquire a prime lot in a highly sought-after neighbourhood. This fully serviced lot offers the potential for a future detached 2-storey/3-storey home/tiny home and is conveniently located just steps away from the charm of Historic Main Street, where you can enjoy shops, galleries, and dining options. Stroll to the scenic Toogood Pond, and easily access the GO Train, York University, and Downtown Markham.The lot comes with site plan approval for building a detached home, subject to the extension of Richard Maynard Cres. Once the extension is approved and connected to the north end of the existing street, the easement will be removed. It's essential that buyers conduct their own due diligence. Secure your investment in this thriving area today! Land Info Package Available Under Attachments. **Please note that the planning department stated that the land adjacent to 49 Main Street needs to be developed before the road can be built. It is up to the owner of the land to build this road. There is an extra cost of approx. $300k on top** (id:62692)

    Show all description

Building Details

  • Sewer: Sanitary sewer

Amenities & Features

  • Waterfront available: No
  • OpenParkingYN: No
  • AttachedGarageYN: No
  • GarageYN: No
  • CarportYN: No
  • PoolYN: No
  • CoolingYN: No
  • Total Fireplaces: 0

Ask an Agent About This Home

Phone
By clicking the «REQUEST INFO» button you agree to the Terms of Use and Privacy Policy

Share this property

Copy

Or share with

Powered by Estatik