1415 8TH STREET
📍 1415 8th Street, Owen Sound, Ontario, Canada, N4K5N9, 276, 82, N4K5N9
1950000.00
1.95
Lot Size
Land Description
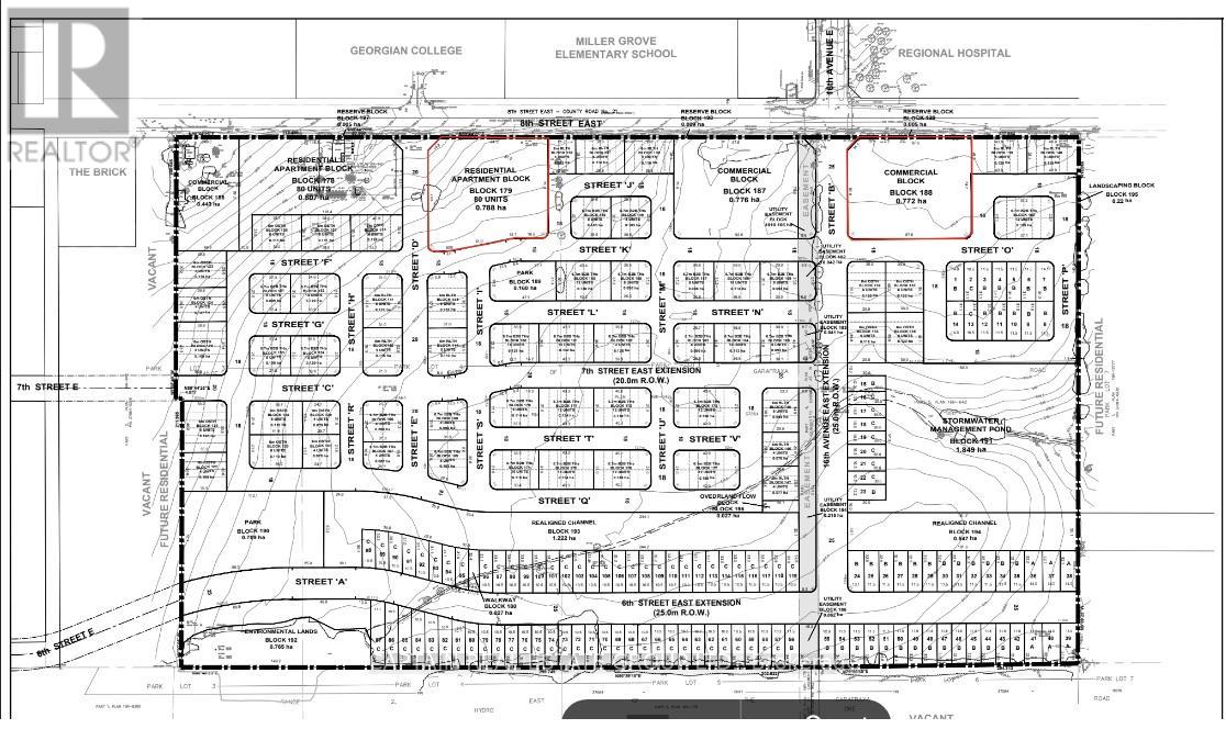
Exceptional Residential Development(Apartment block) Opportunity in Owen Sound, amazing location for Student housing project. Presenting a unique chance to acquire a vacant Residential lot in the vibrant downtown core of Owen Sound. Owen Sound is a rapidly growing urban center in Grey County, just a few hours from Toronto and the U.S.-Canada border, offering direct access to major surrounding markets. The site is located directly across from Regional Hospital, Georgian College, Miller Grove elementary school, community center. This is a limited opportunity to secure a foothold in a thriving area, with convenient access to a diverse range of shopping amenities, the picturesque lake. Opportunity to for development in this prime location. Parcel to be severed from the larger development. The Purchaser will be responsible for their development cost such as development charges, servicing cost etc. Site is zoned and site plan approved, soils and environmental studies are available. All prospective buyers are encouraged to conduct thorough due diligence regarding property. (id:62692)


